- Home
- Services
- Planning & Development Services
- Public Announcements
Notice Of Completion Of 2025 Capital Works Projects
The construction activities for the 2025 season have concluded, and we appreciate your patience throughout the process. The City's contractors, Border Paving, Olds Concrete, and their subcontractors have successfully completed sidewalk installations and crosswalk improvements, road rehabilitation, and deep utility repairs.
The City recognizes that construction impacts all adjacent residents, and we do our best to minimize those impacts. On occasion, some construction activities impact specific lots more than others, and continue to impact the value of a property after construction is complete. This is never the City’s intent but it is sometimes necessary to accommodate a project that improves services for all residents. In such cases, the City will work with those residents to compensate them for the long-term impacts.
As such, NOTICE IS GIVEN pursuant to Section 534 of the Municipal Government Act of the completion of construction in connection with the 2025 Capital Works Projects in the area(s) of the City of Lacombe listed as in the attached PDF document.
Any owner of land that abuts the land on which the City of Lacombe's public work or structure, as described in this notice, is situated, and who has suffered a permanent reduction in the appraised value of land as a result of the existence (but not the construction, erection or use), of the public work or structure, must file a claim for damages with the City Clerk within sixty (60) days after the date of publication of this notice, and such claim must state the amount claimed and particulars of the claim to prove the claim, otherwise such claim shall be forever barred and extinguished.
To file a claim or for any further questions, please contact TJ Brown, Acting Engineering Manager.
For additional information please contact:
TJ Brown, EIT
Acting Engineering Manager
Ph: 403-782-1239
E: tbrown@lacombe.ca
UPCOMING PUBLIC HEARINGS
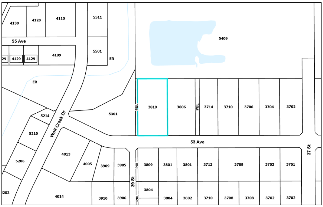
PUBLIC HEARING - LAND USE BYLAW 400.76
A Bylaw of the City of Lacombe to amend the Land Use Bylaw No. 400 by rezoning the lands described as Lot 16, Block 2, Plan 0728925 from Light Industrial District (I1) to Community Services District (CS)
Notice is hereby given that the Council of the City of Lacombe has given first reading to Bylaw 400.76 to amend Land Use Bylaw #400. If approved, Bylaw 400.76 will amend the Land Use Bylaw by redistricting the subject site from Light Industrial District (I1) to Community Services District (CS).
Where do I get more information?
The Land Use Bylaw is available on the City website and at City Hall in the Planning and Development Department during regular business hours.
When is the Public Hearing?
Council of the City of Lacombe will be holding a Public Hearing on Monday, February 23rd, 2026, at 6:00p.m. This meeting will allow for in-person attendance at City Hall 5432-56th Avenue and will also accommodate online viewing.
How do I get involved?
The Public Hearing will occur in person at City Hall and be livestreamed on the City’s YouTube channel. You can view it at https://www.youtube.com/@CityofLacombeTV/streams.
Any person or group wishing to express their views on the proposed amendment may send in comments in the following ways:
(a) Emailing comments to cnguyen@v3co.ca no later than 11:00 a.m. on Friday, February 13th, 2026;
(b) Registering to speak to Council via telephone/internet or in person during the Public Hearing by contacting Iwa Post, Legislative Coordinator, at legislative@lacombe.ca or 403-782-1287 no later than 11:00 a.m. on Monday, February 23rd, 2026.
All written submissions will be submitted to Council at the Public Hearing. Written letters or emails regarding this amendment are to:
(a) Contain the names and addresses of all persons making the presentation, and
(b) State the name and address of all persons authorized to represent a group of persons or the public at large.
FOR INFORMATION CONTACT:
Courtney Nguyen, Planner, V3 Companies of Canada
Phone: 780-655-1430
Email: cnguyen@v3co.ca
Submissions from members of public normally include information such as name, address, phone numbers, and possibly opinions and other personal information.
Submissions received from members of public will appear in the published Council Agenda in the same format that they are received by the Clerk and personal information will not be removed from the submission.
All materials submitted for Council consideration at the Public Hearing must form part of the public record and will be available for public viewing.
All Council or Committee Meeting proceedings are live streamed, video recorded, names recorded in the written minutes and published on the internet (Meetings & Agendas).
For additional information or questions regarding this please contact legislative@lacombe.ca